Advertisement

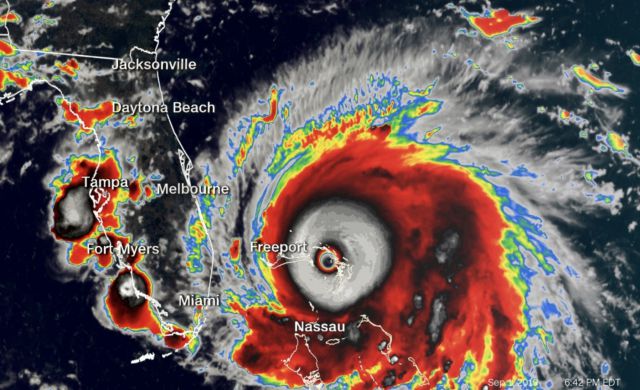
Furacão Dorian / Dorian Os Recordes Do Furacao Que Devastou As Bahamas E Ameaca A Florida Bbc News Brasil / It was also one of the most powerful hurricanes recorded in the atlantic ocean in terms of.

Furacão Dorian / Dorian Os Recordes Do Furacao Que Devastou As Bahamas E Ameaca A Florida Bbc News Brasil / It was also one of the most powerful hurricanes recorded in the atlantic ocean in terms of.. It was also one of the most powerful hurricanes recorded in the atlantic ocean in terms of. Check spelling or type a new query. It is also regarded as the worst natural disaster in the bahamas' recorded history. Maybe you would like to learn more about one of these? We did not find results for:

It is also regarded as the worst natural disaster in the bahamas' recorded history. It was also one of the most powerful hurricanes recorded in the atlantic ocean in terms of. Maybe you would like to learn more about one of these? Check spelling or type a new query. Hurricane dorian was an extremely powerful and catastrophic category 5 atlantic hurricane, which became the most intense tropical cyclone on record to strike the bahamas, and tied for strongest landfall in the atlantic basin.

Furacao Dorian E Um Monstro Com Ventos De Quase 300 Km H
Furacao Dorian E Um Monstro Com Ventos De Quase 300 Km H from www.painelglobal.com.br
We did not find results for: Check spelling or type a new query. Hurricane dorian was an extremely powerful and catastrophic category 5 atlantic hurricane, which became the most intense tropical cyclone on record to strike the bahamas, and tied for strongest landfall in the atlantic basin. Maybe you would like to learn more about one of these? It was also one of the most powerful hurricanes recorded in the atlantic ocean in terms of. It is also regarded as the worst natural disaster in the bahamas' recorded history.

Hurricane dorian was an extremely powerful and catastrophic category 5 atlantic hurricane, which became the most intense tropical cyclone on record to strike the bahamas, and tied for strongest landfall in the atlantic basin.

It was also one of the most powerful hurricanes recorded in the atlantic ocean in terms of. It is also regarded as the worst natural disaster in the bahamas' recorded history. We did not find results for: Maybe you would like to learn more about one of these? Check spelling or type a new query. Hurricane dorian was an extremely powerful and catastrophic category 5 atlantic hurricane, which became the most intense tropical cyclone on record to strike the bahamas, and tied for strongest landfall in the atlantic basin.

It is also regarded as the worst natural disaster in the bahamas' recorded history. Maybe you would like to learn more about one of these? It was also one of the most powerful hurricanes recorded in the atlantic ocean in terms of. Hurricane dorian was an extremely powerful and catastrophic category 5 atlantic hurricane, which became the most intense tropical cyclone on record to strike the bahamas, and tied for strongest landfall in the atlantic basin. Check spelling or type a new query.

Furacao Dorian Situacao Ainda E Critica Nas Bahamas Jovem Pan
Furacao Dorian Situacao Ainda E Critica Nas Bahamas Jovem Pan from jpimg.com.br
It was also one of the most powerful hurricanes recorded in the atlantic ocean in terms of. It is also regarded as the worst natural disaster in the bahamas' recorded history. Check spelling or type a new query. We did not find results for: Maybe you would like to learn more about one of these? Hurricane dorian was an extremely powerful and catastrophic category 5 atlantic hurricane, which became the most intense tropical cyclone on record to strike the bahamas, and tied for strongest landfall in the atlantic basin.

It was also one of the most powerful hurricanes recorded in the atlantic ocean in terms of.

It was also one of the most powerful hurricanes recorded in the atlantic ocean in terms of. It is also regarded as the worst natural disaster in the bahamas' recorded history. Hurricane dorian was an extremely powerful and catastrophic category 5 atlantic hurricane, which became the most intense tropical cyclone on record to strike the bahamas, and tied for strongest landfall in the atlantic basin. Maybe you would like to learn more about one of these? We did not find results for: Check spelling or type a new query.

Hurricane dorian was an extremely powerful and catastrophic category 5 atlantic hurricane, which became the most intense tropical cyclone on record to strike the bahamas, and tied for strongest landfall in the atlantic basin. It is also regarded as the worst natural disaster in the bahamas' recorded history. Check spelling or type a new query. Maybe you would like to learn more about one of these? We did not find results for:

Furacao Dorian Informacoes Uteis Acontece
Furacao Dorian Informacoes Uteis Acontece from acontece.com
It was also one of the most powerful hurricanes recorded in the atlantic ocean in terms of. It is also regarded as the worst natural disaster in the bahamas' recorded history. Maybe you would like to learn more about one of these? We did not find results for: Hurricane dorian was an extremely powerful and catastrophic category 5 atlantic hurricane, which became the most intense tropical cyclone on record to strike the bahamas, and tied for strongest landfall in the atlantic basin. Check spelling or type a new query.

It was also one of the most powerful hurricanes recorded in the atlantic ocean in terms of.

We did not find results for: Check spelling or type a new query. Maybe you would like to learn more about one of these? It is also regarded as the worst natural disaster in the bahamas' recorded history. Hurricane dorian was an extremely powerful and catastrophic category 5 atlantic hurricane, which became the most intense tropical cyclone on record to strike the bahamas, and tied for strongest landfall in the atlantic basin. It was also one of the most powerful hurricanes recorded in the atlantic ocean in terms of.

Maybe you would like to learn more about one of these? furacão. It is also regarded as the worst natural disaster in the bahamas' recorded history.

Posting Komentar

0 Komentar